Puerto Rico Sentinel
SEE OTHER BRANDS

The most trusted news from Puerto Rico

Latest News

Read the latest news from regional and global sources, presenting different voices and perspectives.

Iniciativa Comunitaria propone crear el primer Centro de Prevención de Sobredosis en Puerto Rico

Iniciativa Comunitaria propone crear el primer Centro de Prevención de Sobredosis en Puerto Rico

SAN JUAN – La directora ejecutiva de Iniciativa Comunitaria, Yorelys Rivera Amador, propuso el lunes al Departamento de Salud la creación del primer Centro de Prevención de Sobredosis en Puerto Rico, una medida que busca reducir las muertes...

Owner:  Matthew & Ricardo Angulo
How to Develop a Community Housing Vision for Puerto Rico

How to Develop a Community Housing Vision for Puerto Rico

Photo by Wally Reyes on Unsplash Much-beloved Puerto Rican artist Bad Bunny is bringing people, attention, and money to La Isla del Encanto (the Enchanted Isle). The global success of his recent album, DeBÍ TiRAR MáS FOToS (I Should Have Taken...

Owner:  The Nonprofit Quarterly
US Airstrikes Destroy 4 Alleged Drug Boats, Kill 14

US Airstrikes Destroy 4 Alleged Drug Boats, Kill 14

Audio of this article is brought to you by the Air & Space Forces Association, honoring and supporting our Airmen, Guardians, and their families. Find out more at afa.org The U.S. military conducted airstrikes against four boats in the eastern...

Owner:  Air & Space Forces Association
Blessing a Puerto Rican tradition with a museum of saintly figures

Blessing a Puerto Rican tradition with a museum of saintly figures

Richard Holm, the co-founder of the Museo de los Santos y Arte Nacional, at the museum in San Juan, Sept. 24, 2025. In San Juan, the Museo de los Santos y Arte Nacional is helping to revive interest in santos, small wooden statues of saints that...

Owner:  Matthew & Ricardo Angulo
Jay-Z hits back at criticism over Bad Bunny decision at Super Bowl LV halftime show

Jay-Z hits back at criticism over Bad Bunny decision at Super Bowl LV halftime show

Hip-hop mogul Jay-Z has dismissed criticism surrounding the selection of Puerto Rican artist Bad Bunny for the 2026 Super Bowl halftime performance. When approached by TMZ in New York City on Monday evening, the rapper defended the controversial...

Owner:  Paul Marshall
Shutdown Threatens Head Start Access for Tens of Thousands of Kids
“Las Borinqueñas”: Cómo la libertad de las mujeres estadounidenses se construyó a costa de la autonomía de las mujeres puertorriqueñas

“Las Borinqueñas”: Cómo la libertad de las mujeres estadounidenses se construyó a costa de la autonomía de las mujeres puertorriqueñas

Pocos saben que los orígenes de la píldora anticonceptiva se remontan a Puerto Rico, aunque en 2017 cerca del 65% de las mujeres estadounidenses entre 15 y 49 años usaban algún método anticonceptivo, y casi el 13% dependía de la píldora. Las...

Owner:  DePaul University
Is Rosalía sending a message to Rauw Alejandro? Birthstone, fox, and hidden signals in ‘Berghain’
Black Alliance for Peace Stands Firmly with Venezuela and the Bolivarian Revolution

Black Alliance for Peace Stands Firmly with Venezuela and the Bolivarian Revolution

We condemn U.S. lawlessness in Our Americas and call for multinational intervention to guarantee a ‘Zone of Peace’. Oct 23, 2025 – U.S. lawless attacks throughout the Caribbean and Pacific, military buildup on various islands, strikes against...

Owner:  Margaret Kimberley
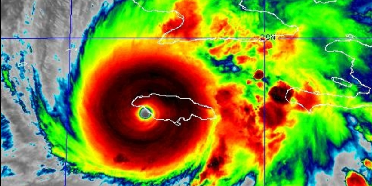
Monster Hurricane Melissa Is Ominous Reminder of Trump's Perilous Climate Policy, Aid Cuts

Monster Hurricane Melissa Is Ominous Reminder of Trump's Perilous Climate Policy, Aid Cuts

As Jamaica was flogged Tuesday by Hurricane Melissa, a Category 5 monster, climate defenders highlighted how US President Donald Trump's policies—including reckless fossil fuel expansion, eviscerating federal agencies, and slashing international...

Owner:  Common Dreams NewsCenter (Non-profit)
Jennifer Lopez shares epic video of her mom's impressive dance moves ahead of her 80th birthday
Princess Returns to Puerto Rico for Homeporting Operations

Princess Returns to Puerto Rico for Homeporting Operations

Princess Cruises returned to Puerto Rico earlier this month, kicking off its first homeporting operation from San Juan in over a decade. The Grand Princess arrived at its new homeport on Oct. 15, 2025 following a repositioning cruise that left...

Owner:  Mathisen Family
FDA issues infection risk warning from contaminated soaps and lotions

FDA issues infection risk warning from contaminated soaps and lotions

DermaRite Industries has expanded a nationwide recall of 16 product lines. The affected soaps, sanitizers, lotions, and deodorant were distributed across the United States and Puerto Rico. The reason is the potential presence of Burkholderia...

Owner:  Eric Ralls
Alpha Kappa Alpha Makes History With First Chapter In Puerto Rico

Alpha Kappa Alpha Makes History With First Chapter In Puerto Rico

Alpha Kappa Alpha Sorority, Inc. has chartered its first chapter in Puerto Rico. The new alumnae chapter, Alpha Delta Nu Omega, was revealed on Saturday in San Juan, Puerto Rico, at a special event featuring family, friends and sorority members,...

Owner:  Morgan DeBaun
Hurricane Melissa brings catastrophic winds to Jamaica: ‘The noise is relentless’

Hurricane Melissa brings catastrophic winds to Jamaica: ‘The noise is relentless’

By DÁNICA COTO and JOHN MYERS JR., The Associated Press KINGSTON, Jamaica (AP) — Heavy floodwaters swept across southwestern Jamaica, winds tore roofs off buildings and boulders tumbled onto roads Tuesday as Hurricane Melissa came ashore as a...

Owner:  Newhouse Family
50 years after Tobin, Puerto Rico’s next industrial revolution is digital

50 years after Tobin, Puerto Rico’s next industrial revolution is digital

The Center for a New Economy marked the Tobin Report’s 50th anniversary with the event “50 Years Since the Tobin Report on Puerto Rico.” I’m new to Puerto Rico, but I studied economics in university back home in California — and I’ve been...

Owner:  Michelle Kantrow-Vázquez
From ‘cringe’ to celebration: Puerto Rican queer comics take the spotlight

From ‘cringe’ to celebration: Puerto Rican queer comics take the spotlight

A group of queer comic book artists gathered at the New York Public Library’s 53rd St. branch on Oct. 10 to engage in a panel discussion and celebrate a new exhibit, “¡WEPA! Puerto Ricans in the World of Comics,” which is on view at the Stephen A....

Owner:  Victoria & Joshua Schneps
An Amalgamation of Celebrations

An Amalgamation of Celebrations

As a Puerto Rican American and first-generation immigrant to the mainland, the celebration of the Christmas holidays can be answered with two words: cultural amalgamation. While we are proud Americans, we are also deeply Puerto Rican and tied to...

Owner:  Yankee Publishing Employees
Resilience Recalibrated: The Birling Capital U.S. Bank Index and Puerto Rico Stock Index Poised for Growth
Cientos de manifestantes rechazan en Puerto Rico las políticas autoritarias y violentas de la administración Trump

Cientos de manifestantes rechazan en Puerto Rico las políticas autoritarias y violentas de la administración Trump

SAN JUAN – Cientos de personas en Puerto Rico se manifestaron este sábado pasado como parte de la protesta masiva que se lleva a cabo en todo Estados Unidos en rechazo a los crecientes abusos de poder del presidente Donald Trump y las políticas...

Owner:  Matthew & Ricardo Angulo

Share us

on your social networks:
AGPs

Get the latest news on this topic.

SIGN UP FOR FREE TODAY

No Thanks

By signing to this email alert, you
agree to our Terms & Conditions